palazzo-gentilizio
Tufara,
1805/00/00 post - 1805/00/00 post
- OGGETTO palazzo-gentilizio
- AMBITO CULTURALE Maestranze Cinque-ottocentesche
- LOCALIZZAZIONE Tufara (CB) - Molise , ITALIA
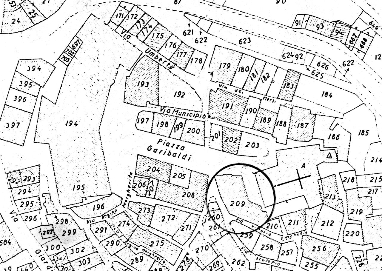
- INDIRIZZO Piazza Garibaldi, Tufara (CB)
- TIPOLOGIA SCHEDA Architettura
-
CONDIZIONE GIURIDICA
proprietà privata
- CODICE DI CATALOGO NAZIONALE 1400075115
- ENTE COMPETENTE PER LA TUTELA Soprintendenza per i Beni Architettonici e Paesaggistici del Molise
- ENTE SCHEDATORE Soprintendenza per i Beni Architettonici e Paesaggistici del Molise
- DATA DI COMPILAZIONE 1990
-
DATA DI AGGIORNAMENTO
2017
-
DOCUMENTAZIONE ALLEGATA
scheda (1)
-
DOCUMENTAZIONE GRAFICA
planimetria catastale (1)
- LICENZA METADATI CC-BY 4.0