casa-con supportico, plurifamiliare
Termoli,
1567/00/00 post - 1945/00/00 ante
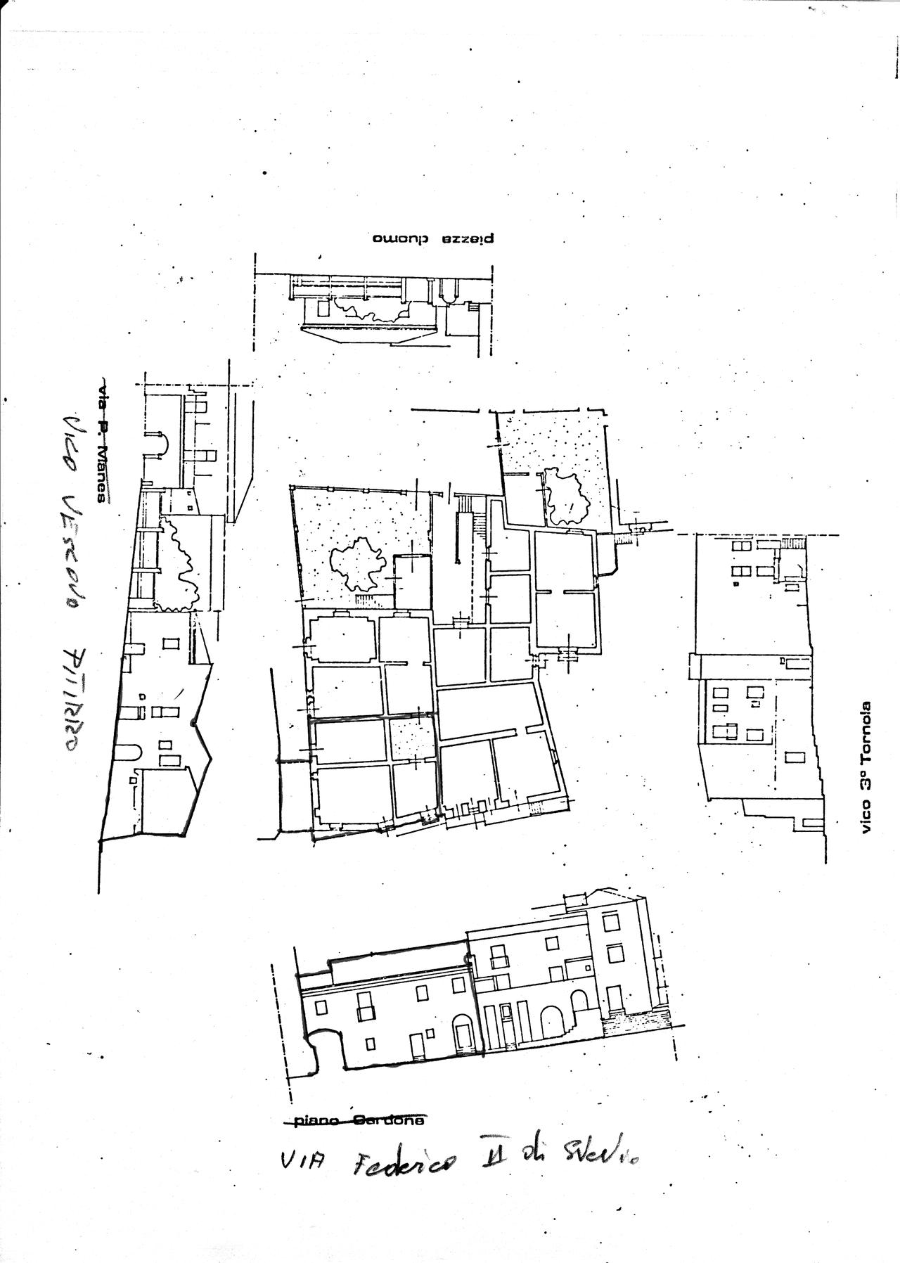
L'edificio è caratterizzato da un disordinato sistema di aperture. Si sviluppa su due livelli di piano; quello superiore scavalca la via e si collega alla schiera che nasce da piazza Bisceglie. La parte bassa è scarpata e il carattere generale ne fanno uno dei più interessanti esempi di palazzi ottocenteschi di tutto il borgo. Nell'immobile tre unità abitative ed un deposito
- OGGETTO casa-con supportico, plurifamiliare
- AMBITO CULTURALE Maestranze Ottocentesca
- LOCALIZZAZIONE Termoli (CB) - Molise , ITALIA
- INDIRIZZO Via Federico II di Svevia 73, 75, 77, Termoli (CB)
- TIPOLOGIA SCHEDA Architettura
-
CONDIZIONE GIURIDICA
proprietà privata
- CODICE DI CATALOGO NAZIONALE 1400075625
- ENTE COMPETENTE PER LA TUTELA Soprintendenza per i Beni Architettonici e Paesaggistici del Molise
- ENTE SCHEDATORE Soprintendenza per i Beni Architettonici e Paesaggistici del Molise
- DATA DI COMPILAZIONE 1977
-
DATA DI AGGIORNAMENTO
2017
-
DOCUMENTAZIONE GRAFICA
planimetria catastale (1)
planimetria catastale (2)
planimetria catastale (3)
planimetria catastale (4)
planimetria catastale (5)
planimetria catastale (6)
- LICENZA METADATI CC-BY 4.0